Futures & Benefits
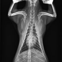
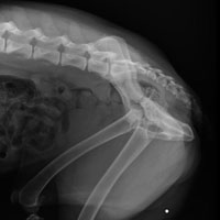
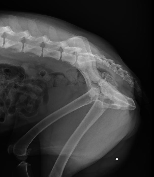
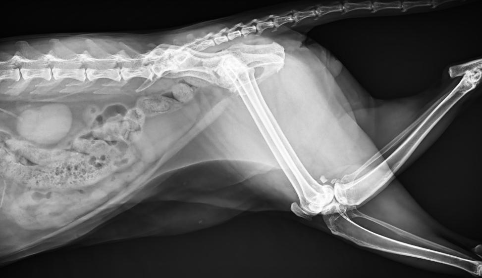
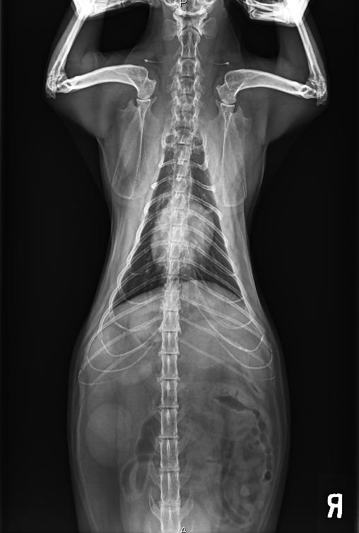
Large size flat panel detector makes diagnosis accurate
● Large size
Large size flat panel detector provides full images with high quality.
● High resolution
Excellent spatial resolution and signal-to-noise ratio to improve image quality.
● Low noise
The unique noise eliminating technology improves the image quality by 40% and obtains tiny lesion images.


High-end Configuration Brings Excellent Performance
● Imported X-ray tube
High output power, high heat capacity and small focus.
● High inverter frequency
The output voltage is more stable to ensure the consistency of radiation quality. Instantly freeze the image, no tailing phenomenon.
● The professional graphical interface
The unique noise eliminating technology improves the image quality by 40% and obtains tiny lesion images.
● Floating table
Meet most small and medium-sized vet inspections.
● Smart design
Tableside operation, manual/remote exposure, flexible and compact structure. Take small space, meet different installation conditions.
● Power supply 220V/380V
The high-voltage generator takes single-phase energy storage high-voltage technology, which have less requirement of power supply and wider installation conditions.
● Professional service
Imaging experience more than 18 years with professioanl after-service team.
● Flexible Human-computer Interaction Interface
Touch LCD screen & Agile operation, simplifying the working process.









